




Annonce par MK Realty Inc
La propriété suivante,Terrain, située 4 Distribution Drive, Wallkill, New York 12721, États-Unis est présentement à vendre.4 Distribution Drive, Wallkill, New York 12721, États-Unis affiche un prix de1 600 000 $ US.
1 600 000 $ US USD
Terrains à vendre, 4 Distribution Drive, Wallkill, New York 12721, États-Unis
- #MLS935050
- Surface vendable minimum
1 858 m² (20 000 ft²)
Caractéristiques de la propriété
Lot/Terrain
- Superficie du terrain/lot:
1 858 m² (20 000 ft²)
Services publics
- Autres services publics: Fausse Septique
Renseignement sur l’école
- École Secondaire: Pine Bush Senior High School
- École Secondaire Dans Le Secteur: Pine Bush
- École Intermédiaire: Circleville Middle School
- École Primaire: Pine Bush Elementary School
Description
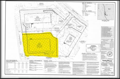
Presenting a fully approved 3.2-acre site, for industrial development. Ideally located right off exit 116, this property is approved for a 40,000 square foot industrial building, offering a significant opportunity for businesses seeking ample space and flexibility. Priced competitively at $1.6 million, the majority of essential infrastructure is already in place, streamlining the development process and saving valuable time and costs. This prime parcel is perfect for investors or end-users looking to capitalize on a turnkey solution in a high-demand area.
Emplacement
4 Distribution Drive, Wallkill, New York 12721, États-Unis